Posted inUncategorized					
				
								BREAKING NEWS Large HURRICANE CATEGORY forming
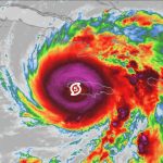
	BREAKING: Major Hurricane Developing — Take Action Now A powerful hurricane has rapidly intensified over the ocean and reached Category 4 status, with sustained winds over 130 mph. Meteorologists warn…
									
				
														
				
			 
				 
				 
				 
				 
				 
				 
				 
				 
				 
				 
				 
				 
				 
				 
				 
				 
				 
				 
				 
				 
				 
				 
				 
				 
				 
				 
				 
				 
				 
				 
				 
				 
				 
				 
				 
				 
				 
				 
				 
				 
				 
				 
				 
				 
				 
				 
				 
				 
				 
				 
				 
				 
				 
				 
				 
				 
				 
				 
				 
				 
				 
				 
				 
				 
				 
				 
				 
				 
				 
				 
				 
				 
				 
				 
				 
				 
				 
				 
				 
				 
				 
				 
				 
				 
				 
				 
				 
				 
				 
				 
				 
				 
				 
				 
				 
				 
				 
				 
				 
				 
					 
					 
					 
					 
					 
					







